Two popular restaurant chains brought plans to the Dunwoody City Council this month for new locations with oversized drive-thru components in the city’s main business district.
Both were sent packing.
Not all councilmembers saw fit to deny the proposals. But according to Dunwoody councilmember Joe Seconder—aka “Bicycle Joe”—the rejection of applications by Zaxby’s and Raising Cane’s signaled a “proud” moment for an inner suburb that’s seen a groundswell of mixed-use activity in nearby projects such as High Street and Campus 244.
Seconder, an avid cyclist and councilmember since 2019, has long pushed for smart growth with an emphasis on walkability and bikeability. He led an initiative in 2023 that changed city code to require that any drive-thru business in Dunwoody (including banks, dry cleaners, and pharmacies) must obtain a Special Land Use Permit prior to development.
That change authorizes the city to regulate drive-thru businesses as a separate category, allowing for special conditions to be put in place and, in theory, to nix negative impacts before they happen.
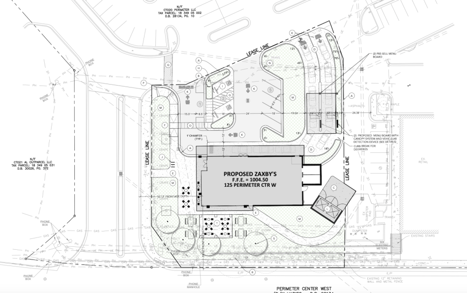
How the proposed double-lane Zaxby's drive-thru would operate around the contemporary-style structure (signage excluded), according to submitted renderings. Courtesy of City of Dunwoody/Zaxby's application
The SLUP requirement, according to Seconder, is what allowed the city council to send Zaxby’s and Raising Cain’s, a Louisiana-based chicken finger restaurant, back to the drawing board at the council’s two most recent meetings.
Both restaurants had proposed drive-thru components with double lanes, similar to a Chick-fil-A concept in Old Fourth Ward that opened in 2023 despite controversy, given its walkable location near the Beltline.
On Monday, the city council voted 3-4 against Zaxby’s permit request for a specialized outpost at 125 Perimeter Center West, the former home of a bank.
Zaxby’s plans called for a unique, modern-style flagship location with outdoor seating and drive-thru lanes capable of channeling through 18 cars at once.
Overview of Zaxby's site plans at 125 Perimeter Center West. Courtesy of City of Dunwoody/Zaxby's application/A&R Engineering
During Monday’s meeting, Seconder shared concerns from nearby residents who have worried about the drive-thru’s impacts, including late-night traffic, though no one opposed the brand itself.
“I personally spend time here in this area,” Seconder told the applicants. “I’m concerned that reducing parking spaces from 23 spaces to four … while adding a double-lane drive-thru will significantly interrupt existing businesses,” which operate successfully because their business models are based on walkability and shared parking, he noted.
“I do not believe drive-thrus are compatible with this location or the character the city has intentionally cultivated here,” Seconder continued. “However, Zaxby’s has an opportunity here to be visionary and succeed without a drive-thru.”
Seconder told Urbanize Atlanta he had requested that a new condition be added, should Zaxby’s plans be approved, that cars would idle in the drive-thru for 30 seconds or less when waiting for orders. But that point, at least for now, appears moot.
Two weeks earlier, at the council’s Dec. 1 meeting, the permit application from Raising Cane’s was more stiffly denied, 6-1.
That was following concerns raised by staff at the Le Meridien Atlanta Perimeter by Marriott hotel next door and councilmember’s questioning whether a double-barrel drive-thru is appropriate for the densifying district.
Raising Cain’s had pitched a 2,900-square-foot restaurant for a 1.5-acre site (formerly a bank) that’s been vacant for roughly two years, as Rough Draft Atlanta relayed.
Proximity of the Le Meridien Atlanta Perimeter hotel (background) in relation to the Raising Cane's proposal. Courtesy of City of Dunwoody/Raising Cane’s application/PM Design
Overview of double-lane drive-thru plans put together by the Louisiana-based Raising Cane's chain. Courtesy of City of Dunwoody/Raising Cane’s application/PM Design
Councilmembers stressed the restaurant was welcome to operate at the 4570 Ashford Dunwoody Road site—provided that its drive-thru be nixed. Company reps reportedly told the city board the majority of their business is derived from drive-thru orders, and standalone restaurants are not ideal.
Find a closer look at both rejected proposals in the gallery above.
Overview of the chicken finger proprietor's plans at 4570 Ashford Dunwoody Road.Courtesy of City of Dunwoody/Raising Cane’s application/Kimley-Horn
...
Follow us on social media:
Twitter / Facebook/and now: Instagram
• Dunwoody news, discussion (Urbanize Atlanta)

