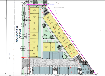
The Heights on Boulevard

Under Construction Last updated 12/3/2025
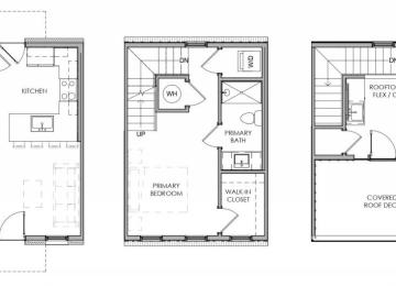
Project Uses Townhomes
Floors (Above Ground) 3
Podium No
Construction Type Type 3, 4 & 5

Companies

Developer 1160 Boulevard LLC
Architect TSW Architects
You have X free articles remaining this month.
Subscribe today!
Subscribe