Properties like this could serve as visual pushback against Atlanta’s “We Full” argument.
Located about a mile due south of Castleberry Hill and Centennial Yards, this parcel at 451 Stephens St. is calling for a six-building infill community to rise from vacant land—surrounded by yet more vacant land—near new residential uses and old industrial ones.
But so far, nobody’s buying. Despite numerous price slices.
The .63-acre lot was most recently listed two weeks ago with Investus Group/Bolst, asking $474,900. It’s one section of a tucked-away, post-industrial pocket of the Pittsburgh neighborhood, south of Mechanicsville.
North views from across the .63-acre site to Mercedes-Benz Stadium and other landmarks. Investus Group / Bolst, Inc.; via Georgia MLS
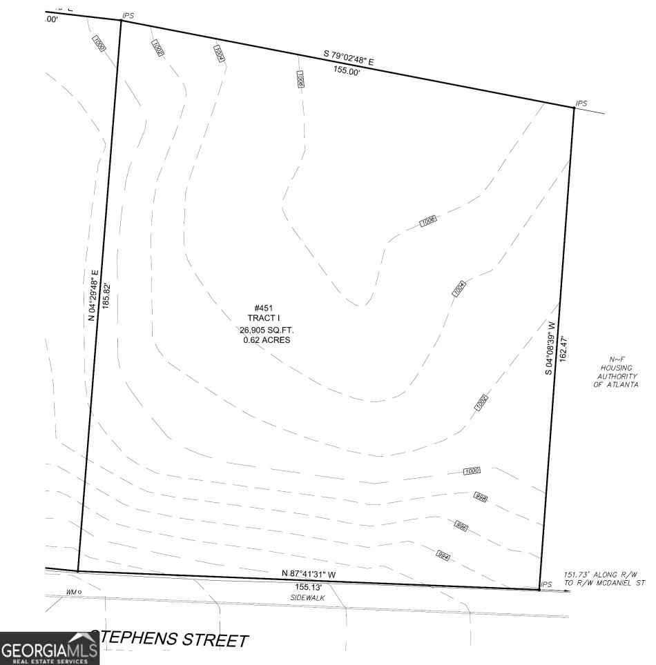
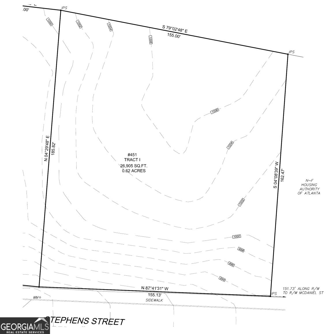
The 12-unit site plan on Stephens Street in Pittsburgh. Investus Group / Bolst, Inc.; via Georgia MLS
The site is about two blocks east of The Met complex—or three blocks from MARTA’s West End station, as the crow flies. A 100-unit rental townhome project built several years ago by Empire Communities (now called Kennett 776) is down the street, along Metropolitan Avenue.
According to sellers, the flat site is an “excellent development opportunity” with “clear environmental studies” and a site plan that calls for 12 units total in six duplexes.
It’s located within the Beltline Tax Allocation District, with walkability to the Southside Trail and jobs hub Pittsburgh Yards. Downtown, Mercedes-Benz Stadium, and the Beltline-adjacent Lee + White district are other perks of the area, per marketing materials.
Overview of the 451 Stephens St. site in relation to downtown, The Met, and the Lee + White warehouse district. Google Maps
Nonetheless, listing records indicate the parcel has been on and off the market since September 2024—when it initially listed for $600,000—and that it went under contract a year ago but didn’t close. The asking price has been steadily dropping throughout 2025.
Working in the location’s favor could be relatively strong, algorithm-based scoring, including: a 73 Walk Score (deemed “Very Walkable”); 62 Bike Score (“Bikeable”); and 60 Transit Score (“Good Transit.”)
A good deal, all things considered?
Overview of the 451 Stephens St. site in relation to downtown, The Met, and the Lee + White warehouse district. Google Maps
...
Follow us on social media:
Twitter / Facebook/and now: Instagram
• Pittsburgh ATL news, discussion (Urbanize Atlanta)

